土地
米子市大篠津町
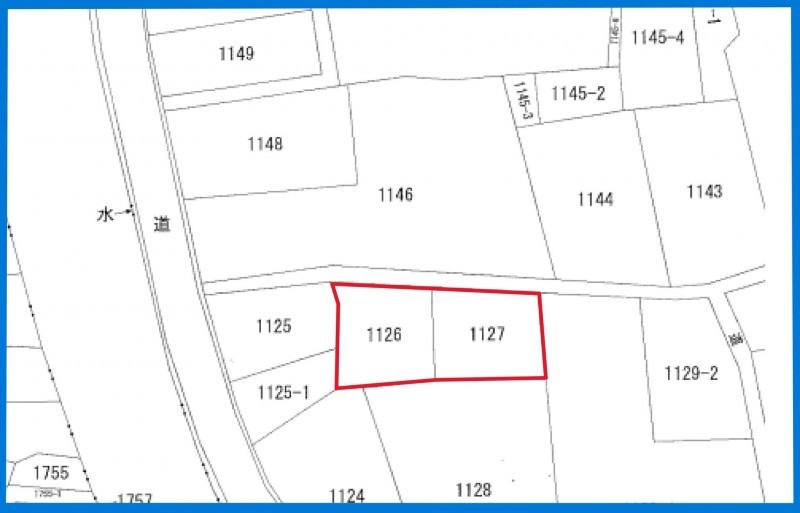
物件概要 No.1001971
| 所在地 | 米子市大篠津町 | 価格 | 470 万円 |
|---|---|---|---|
| 交通 |
JR境線 大篠津町駅 まで 徒歩8分 |
土地面積 | 公簿 310.73㎡(93.99坪) |
| 小学校区 | 大篠津 (550m) | 中学校区 | 美保 (1400m) |
| セットバック | 有り | 私道負担 | |
| 土地権利 | 所有権 | 建築条件 | なし |
| 地目 | 宅地 | 都市計画 | 調整区域 |
| 用途地域 | 定無 | 用途地域2 | |
| 建ぺい率 | 70% | 容積率 | 400% |
| 上水道 | 公共 | 下水道 | |
| ガス | 現況 | 更地 | |
| 取引態様 | 仲介 | 明渡 | 相談 |
| 設備・条件 | 側溝 | ||
| 備考 |
都市計画法第43条許可(11号案件)については買主様負担となります。 上水道:前面道路まで(引込については買主様負担となります) |
||
※不動産に関する用語をご確認いただけます。
弊社では、売主様に配慮し、物件所在地を掲載していない物件がございます。
詳細については、お気軽にお問合せください。
(物件番号: 1001971)
【更新年月日】2025年11月11日
【次回更新日】2025年12月11日
